
Weteringschans 75
Woonruimte
ca. 207 m²
Horecaruimte
ca. 190 m²
Grond
Eigen grond
Beschikbaarheid
Woning op 75-C wordt leeg overgedragen
Sluiting Inschrijving
3 december 2025 om 12:00 uur
makelaardij@draijer.com
(020) 623 78 79
Vrijblijvende informatie en
inschrijfvoorwaarden niet openbare inschrijving

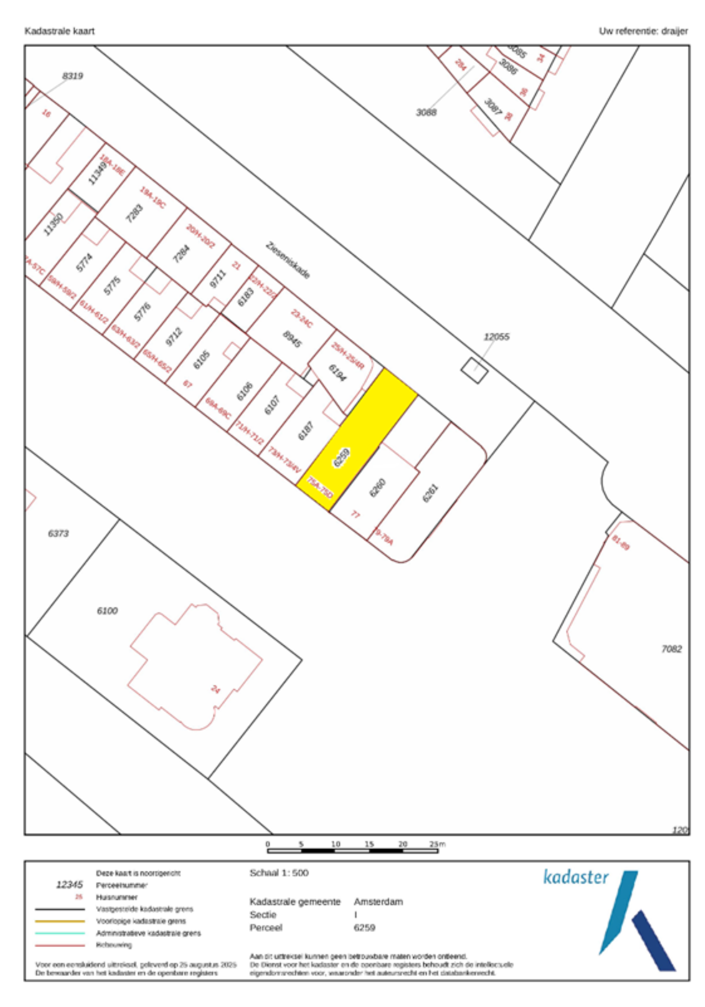
Kadastrale omschrijving

Kadastrale kaart
Locatie op kaart
Het pand gelegen op eigen grond, bestaande uit een horecaruimte op de begane grond en drie bovenwoningen, staande en gelegen te Amsterdam aan de Weteringschans 75, kadastraal bekend: gemeente Amsterdam, sectie I, nummer 6259, groot 135 m².
Locatie
Weteringschans 75
Amsterdam
Nederland
Kadastraal
Gemeente Amsterdam
Sectie I, nummer 6259
Groot 135 m²

Financieel overzicht
Huren en waarborgsom
| Eenheid | Netto p/m | BTW | Bruto p/m | Jaarhuur | Waarborgsom |
|---|---|---|---|---|---|
| Weteringschans 75-A | € 6.431,25 | € 1.350,56 | € 7.781,81 | € 93.381,72 | € 15.000,00 |
| Weteringschans 75-B | € 1.962,05 | - | € 1.962,05 | € 23.544,60 | € 3.400,00 |
| Weteringschans 75-C | - | - | - | - | - |
| Weteringschans 75-D | € 1.962,05 | - | € 1.962,05 | € 23.544,60 | € 3.600,00 |
| Totaal huuropbrengst | € 10.355,35 | € 1.350,56 | € 11.705,91 | € 140.470,92 | € 22.000,00 |
Exploitatiekosten 2025
| Eenheid | WOZ-waarde 2025 | OZB | Rioolrecht | Waterschapslasten | Totaal |
|---|---|---|---|---|---|
| Weteringschans 75-A | € 815.000,00 | € 1.985,34 | € 185,20 | € 148,05 | € 2.318,59 |
| Weteringschans 75-B | € 362.000,00 | € 208,87 | € 185,20 | € 65,76 | € 459,83 |
| Weteringschans 75-C | € 436.000,00 | € 251,57 | € 185,20 | € 79,20 | € 515,97 |
| Weteringschans 75-D | € 477.000,00 | € 275,23 | € 185,20 | € 86,65 | € 547,08 |
| TOTAAL | € 2.090.000,00 | € 2.721,01 | € 740,80 | € 379,67 | € 3.841,47 |

Technische informatie
Energielabels en oppervlaktes
| Eenheid | m² vlg. Meetrapport | m² vlg. Meetrapport VVO/GO | Gebruiksomschrijving BAG | Energielabel | Registratie label |
|---|---|---|---|---|---|
| Weteringschans 75-A | 190 m² BVO | 172 m² VVO | Bijeenkomstfunctie | C | 21-10-2025 |
| Weteringschans 75-B | 70 m² BVO | 58 m² GO | Woonfunctie | D | 18-3-2021 |
| Weteringschans 75-C | 65 m² BVO | 56 m² GO | Woonfunctie | C | 18-3-2021 |
| Weteringschans 75-D | 72 m² BVO | 55 m² GO | Woonfunctie | A | 29-9-2020 |
| TOTAAL | 397 M² BVO | 341 m² VVO/GO |
Huurovereenkomst(en)
| Eenheid | Ingangsdatum | Einddatum | Index datum | Soort huurovereenkomst |
|---|---|---|---|---|
| Weteringschans 75-A | 1-11-2020 | 31-10-3030 | 1-11-2026 | Winkelruimte |
| Weteringschans 75-B | 1-7-2022 | Onbepaalde tijd | 1-7-2026 | Woonruimte |
| Weteringschans 75-C | Leeg | Leeg | Leeg | Leeg |
| Weteringschans 75-D | 1-10-2023 | Onbepaalde tijd | 1-7-2026 | Woonruimte |

Bijzonderheden
Op Weteringschans 75-A heeft er in december 2022 een indeplaatsstelling plaatsgevonden waarbij de huurovereenkomst is overgezet op naam van de huidige huurder. Wagyu Kanata heeft hier sindsdien haar tweede vestiging geopend.
Huurovereenkomst winkelruimte loopt nog vijf jaar door tot 31-10-2030.
Weteringschans 75-C wordt leeg overgedragen en is op afspraak te bezichtigen.
Het betreft eigen grond.
Voordeel overdrachtsbelasting komt ten gunste van verkoopster.
Op te vragen stukken
Bij interesse zijn al deze punten op te vragen bij onze makelaardij afdeling
Documenten en rapporten
- Leveringsakte
- Eigendomsinformatie
- Kadastrale kaart
- Geanonimiseerde huurovereenkomsten
- Akte van Indeplaatsstelling winkelruimte
- Bodemrapportage
- WOZ-waarde
- Bag viewer
- Energie labels
- Meetstaat gehele pand
- Funderingsonderzoek nr. 75 2025
- Funderingsonderzoek nr. 73 2025 (buren)
- Biedingsformulier

Plattegronden 75-A
Souterrain

VVO 118.2 m²

Bel-Etage

VVO 53.6 m²

Plattegronden 75-B
Eerste verdieping

VVO 66.5 m²

Plattegronden 75-C
Tweede verdieping

GO 58 m²

Plattegronden 75-D
Derde verdieping

GO 68 m²


Fotogalerij
Weteringschans 75-A — Horecaruimte

Weteringschans 75-C — Woonruimte

Weteringschans 75-D — Woonruimte

Overige foto's


Clausules welke zullen worden opgenomen in de koopakte

Voorwaarden
Belangrijke informatie en aansprakelijkheid
Deze informatie is door ons met de nodige zorgvuldigheid samengesteld. Onzerzijds wordt echter geen enkele aansprakelijkheid aanvaard voor enige onvolledigheid, onjuistheid of anderszins, dan wel de gevolgen daarvan. Alle opgegeven maten en oppervlakten zijn indicatief. Koper heeft zijn eigen onderzoek plicht naar alle zaken die voor hem of haar van belang zijn. Met betrekking tot deze woning is de makelaar adviseur van verkoper. Wij adviseren u een deskundige (NVM-)makelaar in te schakelen die u begeleidt bij het aankoopproces. Indien u specifieke wensen heeft omtrent de woning, adviseren wij u deze tijdig kenbaar te maken aan uw aankopend makelaar en hiernaar zelfstandig onderzoek te (laten) doen. Indien u geen deskundige vertegenwoordiger inschakelt, acht u zich volgens de wet deskundige genoeg om alle zaken die van belang zijn te kunnen overzien. Van toepassing zijn de NVM voorwaarden.
Draijer Makelaardij
makelaardij@draijer.com
Weteringschans 75
Amsterdam